HYNDAI GETZ 1.5 DCI 82CV
- Vehicles Stock Averiados
- ID # 001376
- Marca Hyundai
- Înregistrare 3 / 2005
- Culoare Negro
- Cutie de viteze Manual
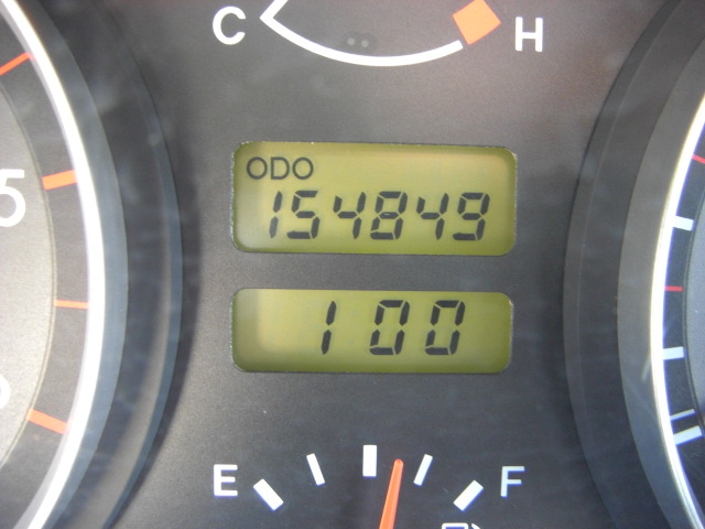
- Miles 154.849 Km
- Putere 82CV
- Combustibil Diesel
- locaţie Madrid
- Vânzător Hostiauto
- Preţ ¡¡¡Rebajado!!!1.700 €
Información HYNDAI GETZ 1.5 DCI 82CV
Observaciones HYNDAI GETZ 1.5 DCI 82CV
AVERIADO.VEHICULO CON AVERIA DE MOTOR MUEVE PERO NO ARRANCA,SE DESCONOCE ALCANCE DE LA AVERIA TIPO DE MOTOR!!!!!!!D-3EA!!!!!!!!CD,A/C...
Fotos HYNDAI GETZ 1.5 DCI 82CV
- VISTA DELANTERA HYNDAI GET …

- VISTA DELANTERA DERECHA HY …

- VISTA TRASERA DERECHA HYND …

- VISTA TRASERA HYNDAI GETZ …

- HYNDAI GETZ 1.5 DCI 82CV

- VISTA INTERIOR DERECHO VIS …

- VISTA INTERIOR TRASERO 2 V …

- VISTA INTERIOR TRASERO VIS …

- VISTA INTERIOR HYNDAI GETZ …

- VISTA CD Y A/C VISTA DELAN …

- VISTA A/C VISTA DELANTERA …

- VISTA CAMBIO VISTA DELANTE …

- VISTA KM VISTA DELANTERA H …

Características Motor y cambio
- Motor dañado
Características Carrocería
- Airbags ok
Características Extras
- ABS
- Airbag acompañante
- Airbags laterales
- Aire acondicionado
- Cierre centralizado
- Dirección asistida
- Elevalunas eléctrico
- Ordenador de abordo
- Radio/CD
