FORD FOCUS FAMILIAR 1.8 TDCI 90CV
- Vehicles Stock Averiados
- ID # 002319
- Marca Ford
- Înregistrare 6 / 2000
- Culoare Plata
- Cutie de viteze Manual
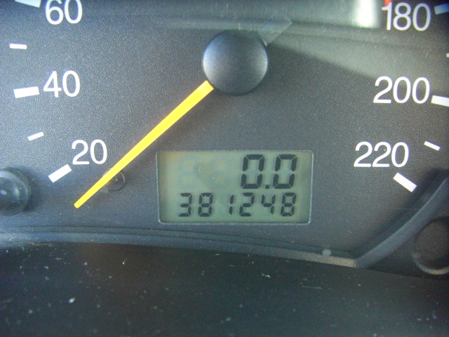
- Miles 381.248 Km
- Putere 90CV
- Combustibil Diesel
- locaţie Madrid
- Vânzător Hostiauto
- Preţ ¡¡¡Rebajado!!!750 €
Información FORD FOCUS FAMILIAR 1.8 TDCI 90CV
Observaciones FORD FOCUS FAMILIAR 1.8 TDCI 90CV
averiado.vehiculo con perdida de aceite por caja de cambios,arrancando y andando,daños de uso,cd,a/c,mandos audio en volante..
Fotos FORD FOCUS FAMILIAR 1.8 TDCI 90CV
- FORD FOCUS FAMILIAR 1.8 TD …

- FORD FOCUS FAMILIAR 1.8 TD …

- FORD FOCUS FAMILIAR 1.8 TD …

- FORD FOCUS FAMILIAR 1.8 TD …

- FORD FOCUS FAMILIAR 1.8 TD …

- FORD FOCUS FAMILIAR 1.8 TD …

- FORD FOCUS FAMILIAR 1.8 TD …

- FORD FOCUS FAMILIAR 1.8 TD …

- FORD FOCUS FAMILIAR 1.8 TD …

- FORD FOCUS FAMILIAR 1.8 TD …

- FORD FOCUS FAMILIAR 1.8 TD …

- FORD FOCUS FAMILIAR 1.8 TD …

- FORD FOCUS FAMILIAR 1.8 TD …

- FORD FOCUS FAMILIAR 1.8 TD …

- FORD FOCUS FAMILIAR 1.8 TD …

- FORD FOCUS FAMILIAR 1.8 TD …

- FORD FOCUS FAMILIAR 1.8 TD …

Características Motor y cambio
- Motor arranca
Características Carrocería
- Airbags ok
Características Extras
- ABS
- Airbag
- Airbag acompañante
- Airbags laterales
- Aire acondicionado
- Dirección asistida
- Ordenador de abordo
- Radio/CD
